News

Plans to replace the Old Town Pool headed to Board of Architectural Review

After 40 years in operation, Alexandria has submitted plans to replace the Old Town Pool, bath house and equipment building.

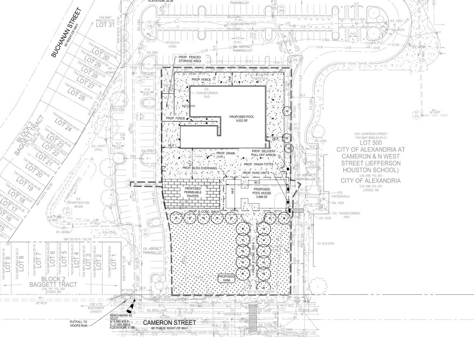
The 144,000-square-foot Old Town Pool site at 1609 Cameron Street was built in 1975 and is “nearing the end of its usability,” according to a presentation that will go before the Board of Architectural Review on Wednesday, Jan. 7.

“An addition or renovation is not feasible as the existing building and pool are no longer able to function in a way that meets the needs of the Alexandria community,” according to a city staff report.

The city has proposed replacing the 7,400-square-foot pool with an 8,000-square-foot eight-lane, 25-meter lap pool and dive well, with a family pool area, spray features and accommodations for a climbing wall, basketball hoop and volleyball nets.

Site plans call for the pool property to be secured by six-foot-tall aluminum fencing, similar to what is there now.

The roof of the bath house would be made of thermoplastic polyolefin, and the building itself is proposed to be modular brick. The proposal includes men’s and women’s changing rooms in the bath house, with two universal changing rooms, as well as offices for first aid and lifeguards. Also proposed is an equipment area on the eastern edge of the property.

The design heads to city review several months after Old Town Pool was forced to closed over the summer for emergency repairs due to a filtration issue.

The $12.5 million project is funded through the city’s capital improvement program budget, and the city anticipates construction taking place from winter 2027 until the summer or fall of 2028. If approved, that means that the pool would be closed over two summers, from 2027 to 2028.

Arlington-based RRMM architects is the project designer and engineer.

About the Author

  • Reporter James Cullum has spent nearly 20 years covering Northern Virginia. He began working with ALXnow in 2020, and has covered every story under the sun for the publication, from investigative stories to features and photo galleries. His work includes coverage of national and international situations, as well as from the White House, Capitol, Pentagon, Supreme Court and State Department. He's covered protests and riots throughout the U.S. (including the Jan. 6 riot at the U.S. Capitol), in addition to earthquake-ridden Haiti, Western Sahara in North Africa and war-torn South Sudan. He has photographed presidents and other world leaders, celebrities and famous musicians, and excels under pressure.